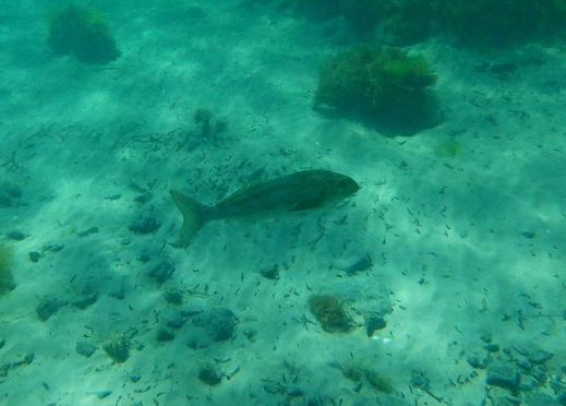
Dusky morwong
Dactylophora nigricans
Seen at high tide 20 meters from shore
| Depth | 2m |
|---|
About this species
The morwong family have lovely large rubbery lips, are slow moving and often have an elongated or several elongated sections on their pectoral fins (the ones on the side). The Dusky morwong, the largest in this family, is not as nice to eat as some of the others. Read more…

