Search
Sign in
Create an account
Log
a sighting
Home
New South Wales
Northern Territory
Queensland
South Australia
Tasmania
Victoria
Western Australia
IMAS
Overview
Sightings
Species
Resources
National Resources
Marine Systems
Changing Seas
Diving
Fishing
Media
Newsletter
Videos
Documents to print online
Redmap science & data
Latest News
About
What is Redmap?
How you can help Redmap
Awards and recognition
History of Redmap
Redmap Team
Meet the scientists
Partners and Supporters
Documents to print
Frequently asked questions
Contact us
What's been spotted lately around the country?
Home
Sightings
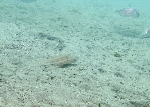
Sighting 4556
Valenciennea puellaris
Tweet
Depth
3m
Redmap is funded by
Lead institutes