What's been spotted lately around the country?

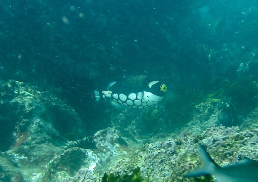
Balistoides conspicillum (clown triggerfish)

I've dived this site dozens of times over a 15 year period. Never seen a clown triggerfish here before. Notable also that this one is an adult.

Depth 5m

Redmap is funded by

Lead institutes