|
Verified
on
|
|
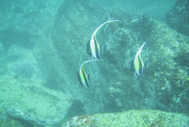
Moorish idol
Zanclus cornutus
|
Georgia Poyner |
New South Wales |
|
Verified
on
|
|
Pomacentrus coelestis
|
Georgia Poyner |
New South Wales |
|
Verified
on
|
|
Pomacentrus bankanensis
|
Georgia Poyner |
New South Wales |
|
Verified
on
|
|
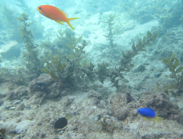
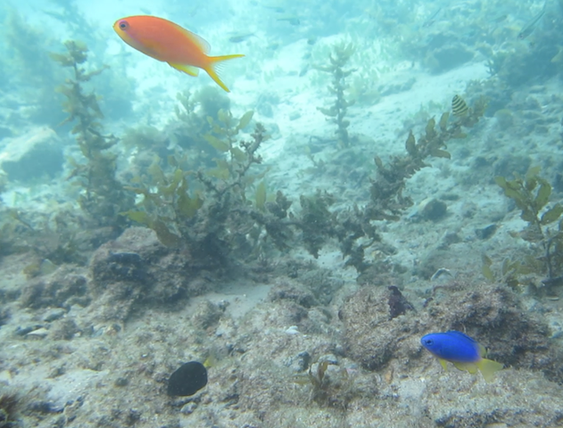
Pseudanthias squamipinnis
|
Georgia Poyner |
New South Wales |
|
Verified
on
|
|
Acanthurus olivaceus
|
Georgia Poyner |
New South Wales |
|
Verified
on
|
|
Naso unicornis
|
Georgia Poyner |
New South Wales |
|
Verified
on
|
|
Cirrhitichthys aprinus
|
Georgia Poyner |
New South Wales |
|
Verified
on
|
|
Chromis margaritifer
|
Georgia Poyner |
New South Wales |
|
Verified
on
|
|
Upeneus australiae
|
Georgia Poyner |
New South Wales |
|
Verified
on
|
|
Acanthurus olivaceus
|
Georgia Poyner |
New South Wales |
|
Verified
on
|
|
Epinephelus cyanopodus
|
Georgia Poyner |
New South Wales |
|
Verified
on
|
|
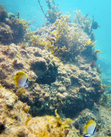
Chaetodon guentheri
|
Georgia Poyner |
New South Wales |
|
Verified
on
|
|
Chaetodon guentheri
|
Georgia Poyner |
New South Wales |
|
Verified
on
|
|
Labroides dimidiatus
|
Georgia Poyner |
New South Wales |
|
Verified
on
|
|
Acanthurus olivaceus
|
Georgia Poyner |
New South Wales |
|
Verified
on
|
|
Roundface batfish
Platax teira
|
Patricia Swallow |
Western Australia |
|
Verified
on
|
|
Pomacanthus semicirculatus (blue angelfish)
|
Alexandra Hoschke |
Western Australia |
|
Verified
on
|
|
Pomacentrus milleri (Miller's Damsel)
|
John McDougall |
Western Australia |
|
Verified
on
|
|
Fiveline snapper
Lutjanus quinquelineatus
|
Georgia Poyner |
New South Wales |
|
Verified
on
|
|
Roundface batfish
Platax teira
|
BusseltonJetty |
Western Australia |