|
Verified
on
|
|
Chromis margaritifer
|
Georgia Poyner |
New South Wales |
|
Verified
on
|
|
Chrysiptera flavipinnis
|
Georgia Poyner |
New South Wales |
|
Verified
on
|
|
Forcipiger flavissimus
|
Georgia Poyner |
New South Wales |
|
Verified
on
|
|
Centropyge flavicauda (Pygmy Yellow-tail Angelfish)
|
Andrew Trevor-Jones |
New South Wales |
|
Verified
on
|
|
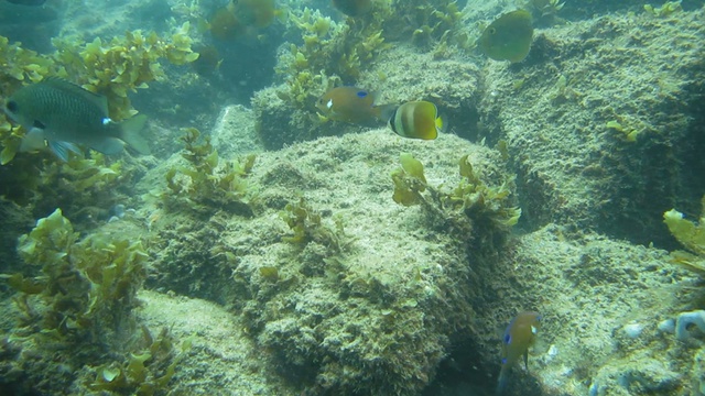
Keyhole angelfish
Centropyge tibicen
|
Georgia Poyner |
New South Wales |
|
Verified
on
|
|
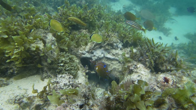
Pseudanthias squamipinnis
|
Georgia Poyner |
New South Wales |
|
Verified
on
|
|
Thalassoma amblycephalum
|
Georgia Poyner |
New South Wales |
|
Verified
on
|
|
Threadfin butterflyfish
Chaetodon auriga
|
Radek Dolecki |
Western Australia |
|
Verified
on
|
|
Keyhole angelfish
Centropyge tibicen
|
Radek Dolecki |
Western Australia |
|
Verified
on
|
|
Leatherback turtle
Dermochelys coriacea
|
Kevin Sheedy |
Tasmania |
|
Verified
on
|
|
Abudefduf bengalensis
|
Glen Whisson |
Western Australia |
|
Verified
on
|
|
Balistoides conspicillum (clown triggerfish)
|
Bill Barker |
New South Wales |
|
Verified
on
|
|
Scissortail sergeant
Abudefduf sexfasciatus
|
Radek Dolecki |
Western Australia |
|
Verified
on
|
|
Ranzania laevis (slender sunfish)
|
Jeremy Ham |
Western Australia |
|
Verified
on
|
|
Carybdea rastoni (Jimble)
|
damien haigh |
Tasmania |
|
Verified
on
|
|
Ranzania Laevis (Slender Sunfish )
|
Emily Austin |
Western Australia |
|
Verified
on
|
|
Platax teira (roundface batfish)
|
Kate Wolny |
Western Australia |
|
Verified
on
|
|
Caranx heberi (blacktip trevally)
|
Kate Wolny |
Western Australia |
|
Verified
on
|
|
Zebrafish
Girella zebra
|
Tim Smith |
Tasmania |
|
Verified
on
|
|
Cantherhines dumerilii
|
Georgia Poyner |
New South Wales |