What's been spotted in Western Australia?

Acanthurus grammoptilus (Inshore Surgeonfish)

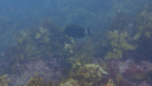
Possible pencil/ornate surgeon fish, Acanthurus dussumieri, sighted at 10m depth off of Dongara, Western Australia.

Depth 10m

Regional funding bodies

Regional supporters