Search
Sign in
Create an account
Log
a sighting
Western Australia
Home
New South Wales
Northern Territory
Queensland
South Australia
Tasmania
Victoria
Western Australia
IMAS
Overview
Sightings
Species
Resources
Marine Systems
Changing Seas
Diving
Fishing
Media
Newsletter
Videos
Documents to print online
Redmap science & data
Latest News
About
History of Redmap WA
Documents to print (WA)
Links (WA)
Contacts (WA)
What's been spotted in Western Australia?
Home
Western Australia
Sightings
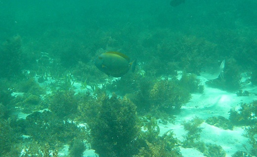
Sighting 892
Acanthurus dussumieri, Pencil Surgeonfish
Jurien Bay Marine Park 27/11/2006
Tweet
Depth
5m
Regional funding bodies
Regional supporters