What's been spotted in New South Wales?

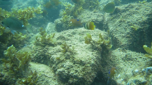
Klein's butterflyfish

Chaetodon kleinii

Depth 4m
Chaetodon kleinii

About this species

Two vertical white bars are present across the centre of the body. These bars are separated by a brown bar. The posterior of the fish is yellowish-brown. A black band crosses the eyes. Scales have light greyish-white portions which gives the fish a white spotted look. In adults a blue line is visible along rear dorsal, anal and caudal fin margins. Read more…

Regional funding bodies

Regional supporters